Мы работаем круглосуточно, также как и вызов скорой помощи в нашей клинике, поэтому, когда бы с Вашим котом ни произошло несчастье, Вы можете позвонить и получите оперативную квалифицированную помощь наших ветеринарных врачей.
Виды переломов
По времени появления ветеринарные хирурги сталкиваются с врожденными и приобретенными фрактурами. На долю врожденного недуга приходится 1 — 2% от всех случаев обращения с переломами конечностей. Во внутриутробный период на плод может воздействовать интенсивная родовая деятельность матки. Развитие рахита, остеопороза и остеомаляции при несбалансированном рационе беременной кошки также приводят к рождению котят с переломами конечностей.
 Врожденные переломы у котенка
Приобретенные повреждения костей наблюдаются при непрофессиональном родовспоможении, а также в постнатальный период. В ветеринарной хирургии принято различать две основные группы приобретенных фрактур в зависимости от причины их образования: травматические и патологические.
У домашних кошек нередко основным фактором, приводящим к нарушению целостности конечности, являются разнообразные травмы: падение с высоты, столкновение с автотранспортным средством, огнестрельное ранение, неравный бой с соперником или врагом и т.д. Патологические переломы образуются вследствие развития костной патологии при остеосаркомах, остеомаляции, когда происходит потеря прочности в структуре органа.
Рекомендуем прочитать о переломе хвоста у кошек. Вы узнаете о причинах травм , симптомах, диагностике, лечении. А здесь подробнее о переломе позвоночника у кошки.
Учитывая характер повреждения трубчатой кости, ветеринарные специалисты различают открытые, закрытые и неполные переломы. Наибольшую опасность вследствие риска инфицирования прилегающих тканей представляет собой открытый перелом конечности.
Этот вид травмы характеризуется нарушением целостности кожного покрова под воздействием внешнего травматического фактора или вследствие механического повреждения тканей острыми фрагментами переломанной кости. В случае закрытой фрактуры нарушения целостности кожного покрова не наблюдается.
Открытый перелом
Неполный перелом характеризуется образованием в кости трещин, надломов, отломов и других повреждений. Надломы характерны для молодых животных, пробоины — для огнестрельных ранений.
По направлению линии повреждения костной структуры ветеринарные хирурги различают следующие виды фрактур:
- поперечную, характерна для трубчатых костей;
 - продольная (встречается редко);
 - косая, наблюдается при травмах конечностей;
 - винтообразная, образуется при застревание лап животного;
 - оскольчатая, характерна для длинных трубчатых костей;
 - зубчатая, наблюдается при нарушении плотности костной ткани вследствие дефицита минералов либо при патологических переломах, связанных с заболеванием.
 
 а) Поперечный диафизарный перелом; б) косой диафизарный перелом; в) спиральный; г) неполный перелом трубчатой кости.
 Нередко у домашних кошек встречаются вколоченные, раздробленные и размозженные переломы. Различают также мелкооскольчатые и крупнооскольчатые повреждения. Нарушения целостности костей могут быть одиночными и множественными.
Диагностика
Диагностика переломов у кошек и собак комплексная.
Проводится неврологическое обследование специалистом, исключаются сопутствующие патологии: скопление воздуха или крови в плевральной полости, оценивается возможность внутренних кровотечений и разрывов органов. Такое обследование позволяет установить локализацию повреждения, определить тяжесть травмы.
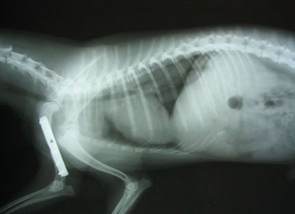
После проведения клинического неврологического обследования, проводится инструментальное: рентгенография, миелография, лабораторное исследование ликвора, компьютерная томография или МРТ.
Симптомы проблем с лапами у кошек
Несмотря на многообразие видов переломов и схожих с ними хирургических травм, клинические признаки у домашних животных имеют характерные черты. Как правило, животное испытывает сильную боль, место повреждения отекает, нарушается двигательная функция.
Если просто ушиб передней или задней лапы
Ушиб мягких тканей конечности чаще всего происходит в результате травмы.
Повреждение лимфатических и кровеносных сосудов приводит к лимфаэкстравазатам и гематомам в подкожной клетчатке.
Визуально владелец пушистого непоседы может наблюдать припухлость ушибленного места. Нарушения целостности кожного покрова не отмечается. При осмотре анатомическая конфигурация сустава и кости не нарушена.
Ушиб конечности сопровождается нарушением походки. Кошка прихрамывает, старается не наступать на больную лапу, старательно вылизывает травмированное место.
Животное беспокоится, болезненно реагирует на прикосновения. При пальпации питомец проявляет волнение и даже агрессию. Целостность кости при ощупывании не нарушена, звуков крепитации не выявляется.
Открытый или закрытый перелом
Открытая хирургическая травма с нарушением целостности кости сопровождается следующей симптоматикой:
- Открытый перелом
Раневая поверхность характеризуется нарушением целостности кожного покрова. Из раны видны мышцы, связки, кости или их фрагменты. - Для открытого перелома характерно кровотечение вследствие повреждения кровеносных сосудов.
 
При закрытых фрактурах костей владелец может наблюдать следующие клинические признаки:
- Кошка испытывает сильную боль. Животное может громко мяукать, кричать. Болевой синдром сопровождается агрессивным поведением. Питомец может укусить даже любимого хозяина. Боль наблюдается и при пассивном состоянии, и при движении животного. Однако в редких случаях (при шоковом состоянии, при повреждении спинного мозга) боль при травме может отсутствовать.
 - Нарушение движения. Перелом конечности сопровождается выпадением ее из опорно-двигательной функции. Кошка не наступает на травмированную лапу, передвигается на трех конечностях. Трещины, как правило, не сопровождаются выраженной потерей опорной функции конечности.
 
- Изменение анатомической конфигурации. Степень изменения физиологического контура травмированной части в большой степени зависит от вида и характера фрактуры. Дефигурация места повреждения также является следствием рефлекторного сокращения мышц, образования гематомы, лимфоэкстравазата, воспалительного отека.
 - Подвижность кости вне сустава характерна в случае полной фрактуры конечности. Симптом появляется при диафизарных переломах длинных трубчатых костей конечностей животного.
 - При ощупывании обнаруживается хруст, крепитация в месте травмы вследствие трения костных отломков. Признак характерен для свежего перелома. Крепитация не является обязательным симптомом повреждения кости, так как между нарушенными костными структурами могут находиться мягкие ткани, сгустки крови.
 
Обнаружив у питомца признаки перелома конечности, владельцу следует грамотно оказать доврачебную помощь травмированному животному.
Почему у щенков образуется пупочная грыжа?
В процессе внутриутробного развитиященок получает питание и кислород посредством пуповины, которая прикреплена к плаценте. В предродовой периодплацента прекращает питать малышей, однакоснабжение кислородом и кровью продолжается до окончания процесса изгнания. Как только щенок двинулся по родовым путям, его организм начинает готовиться к раскрытию легких и сокращению брюшной стенки. Место крепления пуповины к животику называется пупочным кольцом. К моменту рождениякольцо значительно уменьшается в размерах и должно закрыться полностью в первые сутки жизни.
Низкий тонус брюшной стенки или неправильная форма пупочного кольца – основная причина образования грыжи. Определить дефект очень просто – на животике малыша визуально заметен округлый, выпуклый участок кожи. Нужно отметить, что пупочная грыжа у новорожденного щенка может бесследно «испариться» через несколько суток.Однаковозможен и «обратный сценарий» – появление дефекта у подросшей или взрослой собаки.
◀ Сколько стоит белая швейцарская овчарка
Смесь пород кошек как называется ▶
Добавить комментарий Отменить ответ
Первая помощь
При открытой форме повреждения в первую очередь необходимо удалить из раневого канала торчащие посторонние предметы, грязь и острые отломки костей, и остановить кровотечение. Сделать это можно, прижав к ране чистую ткань, намотанную на палец.
При повреждении крупного сосуда на задней конечности кровотечение останавливают пережиманием артерии на внутренней стороне бедра. Если обнаружено кровотечение и повреждение передней лапы, то пережимают артерию под локтевым суставом. Рану необходимо обработать антисептическим раствором: перекисью водорода, хлоргексидином, мирамистином, раствором перманганата калия.
Фиксируем конечность
Обработав рану и остановив кровотечение, владельцу следует приступить к фиксации поврежденной конечности. В качестве шины подойдет небольшая доска, широкая линейка, пластиковая панель. Приспособление для фиксации должно быть немного длиннее самой конечности.
 Схема бинтования лапы у кота
Закрепить поврежденную лапу на шине следует с помощью бинта, пояса, ремня, ленты. Бинтовать следует туго, но не пережимая кровеносные сосуды. В зоне открытой раны бинтование не проводят.
Обезболивающее при травме
Ветеринарные специалисты не рекомендуют владельцам самостоятельно применять обезболивающие препараты при переломах. Это связано с тем, что не чувствуя боли, животное может нанести себе еще больший вред, усугубив свое положение. Обезболивание может сгладить клиническую картину травмы. Кроме того, седация будет необходима питомцу для проведения рентгенологического исследования, а предварительная дача анальгетика неблагоприятно скажется на здоровье кошки.
Организация перевозки в клинику
После оказания грамотной первой помощи больного питомца нужно как можно быстрее транспортировать в специализированное учреждение. С этой целью в полевых условиях подойдет плотный картон, кусок фанеры, доски, панель от автомобиля и т.д. Важно, чтобы поверхность была ровной и твердой.
Транспортировку придется осуществлять в лежачем положении. Больное животное следует закрепить с помощью ремней или веревки к подручной твердой поверхности. Сделать это нужно в области лопаток и таза. Перевозить кошку следует на заднем сиденье автомобиля.
Когда нужна операция
Существует много причин, которые определят способы лечения перелома у кота. Самыми главными из них являются общее состояние здоровья, возраст питомца, вид травмы и какие кости он поломал. Временами при травмах задних лап достаточно фиксирующей повязки или лонгеты. Если всё-таки без хирургического вмешательства не обойтись, то коту устанавливают в кость винт, штифт (металлический стержень), проволоку или металлическую пластину для удерживания костных отломков.
Лечение травмы чаще всего хирургическое, оно включает фиксацию обломков кости и обеспечение стойкого сохранения функций повреждённых тканей. После хирургического вмешательства врачей назначаются лечебные мероприятия, направленные на устранение воспаления вокруг повреждения, заживление и восстановление общего состояния.
Уход после операции за котом
Во время восстановления ограничивают физическую нагрузку (в том числе прогулки), по назначению посещают ветеринара, дают представителю семейства кошачьих витамины или, если рекомендует врач, переводят животное на оздоровительный корм, он способствует восстановлению костной ткани и регенерации.
Если врач-ветеринар наложил шину, гипс или бинтовую повязку, хозяин должен постоянно контролировать повязку, чтобы не вызвать у животного осложнений. Повязка в норме должна выглядеть как в первоначальном состоянии и быть абсолютно сухой. Также не меньше трёх раз в месяц состояние шины осматривает ветеринар.
Как помогут врачи
Перед тем, как выбрать наиболее эффективный способ лечения, ветеринарный хирург проведет обследование поврежденной конечности и назначит рентгенологическое обследование. Метод позволяет не только подтвердить диагноз, но и определить локализацию, вид и сложность перелома, наличие повреждения в околокостных структурах. Рентгенологическое обследование, а также пальпация повреждения проводятся после предварительного обезболивания.
Консервативное лечение
Закрытые и неосложненные переломы у мелких животных успешно излечиваются консервативными методами. Прежде всего проводится устранение болевого шока, обезболивание питомца. С целью восстановления целостности кости применяется иммобилизация поврежденной конечности с помощью шины, лонгеты.
Основным условием для быстрого и правильного срастания костных фрагментов является ограничение подвижности животного. Ускорить процессы регенерации помогут физиопроцедуры, витаминотерапия, препараты, улучшающие остеосинтез.
Операция
Осложненные виды переломов требуют хирургического вмешательства. Операция позволяет вправить крупные отломки костей или удалить мелкие. Остеосинтез важно выполнить как можно быстрее после обнаружения перелома. Современная ветеринарная хирургия предусматривает применение в остеосинтезе фиксирующих металлических конструкций (штифтов, спиц, пластин и т.д.). Изготовленные из специальной стали с титаном металлоконструкции остаются в теле животного пожизненно.
 Контрольная рентгенограмма кошки после операции, в месте перелома установлена металлическая пластина.
Оперативное вмешательство понадобится и в том случае, если по какой-либо причине консервативные методы лечения не увенчалось полным выздоровлением. В этом случае хирург прибегает к преднамеренному перелому неправильно сросшейся кости.
межпозвонковая грыжа у собаки лечение
Как задать вопрос
Начинайте тему с указания:
— вида, породы, возраста животного.
— Указывайте город проживания.
— Четко описывайте симптомы заболевания, каковы рекомендации ваших ветеринаров.
— Упоминайте о содержании, питании, кастрировано ли животное, чем болело ранее, привито ли.
— Если есть результаты анализов и других исследований — выкладывайте их в теме.
(остальные могут давать советы в ЛС, с указание, что совет дает не ветеринарный врач. Но за ЭТИ советы форум ответственности не несет.)
Грыжа диска у собак. Методы ламинэктомии (удаление дужки позвонка)
Доктор ветеринарных наук Козлов Н.А.
Грыжа межпозвонкового диска – часто встречающаяся патология у мелких домашних животных. Особенно подвержены данной патологии собаки, намного реже кошки. Клинические проявления болезни, обусловленные выпадением межпозвонкового диска, варьируют от боли в позвоночнике, через парез и паралич, до потери глубокой болевой чувствительности. Диагностика данного заболевания основана на данных анамнеза, проведении комплексного неврологического обследования, проведении специальных методов исследования: рентгенографии, миелографии, компьютерной и магнитно-резонансной томографии (МРТ).
Первая продиагносцированная межпозвонковая грыжа диска у собак – 1881 год. Когда Jonson обнаружил эту патологию у таксы.
Существуют различные методы лечения данной патологии: консервативный метод, фенестрация, декомпрессия, а также их комбинации. Наиболее целесообразно, на мой взгляд, использовать одновременно декомпрессию с дискэктомией и консервативный методы.
Среди методов декомпрессии спинного мозга выделяют – ламинэктомию (удаление дужки позвонка с остистым отростком), гемиламинэктомия (удаление половины дужки) – рис 1 и 2, педикулоэктомия (удаление ножки дужки) и минигемиламинэктомию. Данные методы отличаются друг от друга степенью резекции дужки позвонка. Минигемиламинэктомия представляет собой модифицированный вариант гемиламинэктомии, заключающаяся в увеличении размеров межпозвонкового отверстия, только в пределах 2 соседних позвонков, чем отличается от гемиламинэктомии, которую можно осуществлять на 3 и более позвонков.
Уход за кошкой после
Успех консервативного и оперативного лечения во многом зависит от правильного ухода за травмированным питомцем. Активность и подвижность кошки отрицательно влияет на заживление травмированных конечностей. Именно поэтому основной задачей владельца является ограничение свободы передвижения больного питомца.
Ветеринарные врачи с этой целью рекомендуют поместить животное в клетку на 14 — 21 день. Сооружение должно быть просторным, но не позволять кошке много двигаться. В клетку ставят миску с кормом, едой и лоток.
Реабилитационный период после перелома зависит не только от вида и сложности повреждения, но и от возраста питомца. У молодых животных заживление происходит за 21 — 30 дней. Переломы конечностей у пожилой кошки, как правило, срастаются через 35 — 40 дней.
Продолжительность ношения шины, срок снятия скоб определяет лечащий хирург. При открытой травме, а также после оперативного исправления повреждения кости животному проводится курс антибактериальных препаратов. Контрольный прием у хирурга должен быть не реже одного раза в 3 — 4 недели для отслеживания правильного срастания костных структур.
Быстро восстановить двигательную функцию конечности после травмы помогает регулярно проводимый ручной массаж. Технику процедуры покажет лечащий врач. Массаж улучшает кровоснабжение и трофику околокостных тканей, способствует скорейшему заживлению и срастанию перелома.
В период реабилитации больную кошку ветеринарные врачи рекомендуют перевести на легкоусвояемый, сбалансированный по питательным веществам, витаминам и минералам корм. Самостоятельно давать поливитаминные добавки не следует. Назначить те или иные витамины и минералы должен ветеринарный специалист.
Рекомендуем прочитать о вывихе у кошек. Вы узнаете о причинах и видах вывиха, симптомах при повреждении хвоста, тазобедренного сустава и лапы, диагностике, вправлении и показаниях к операции. А здесь подробнее о том, что делать, если кот хромает на лапу.
Перелом конечности у домашней кошки – явление не редкое. Фрактура костной ткани имеет множество видов, оказывающих влияние на выбор метода лечения. Консервативные способы применяются при простых переломах. Сложные случаи требуют, как правило, хирургического вмешательство с использованием остеосинтеза. Большую долю в успешном лечении занимает грамотный уход и реабилитационный период.
Примерная стоимость
В среднем на территории России стоимость хирургического удаления грыжи у котенка составляет 6200 рублей. Диапазон цен – от 1500 до 12000 рублей. В более престижных клиниках операция обойдется хозяину питомца дороже, а в только что открывшихся или более простеньких ценник на процедуру будет меньше.
Лучше обратить внимание на проверенные ветеринарные клиники с хорошими отзывами о специалистах. Именно такие учреждения пользуются большим спросом и устанавливают средний ценник на свои услуги.
Например, биохимическое исследование крови и общий анализ мочи обойдётся примерно в 1700 руб. Сама операция в 3500 руб. Возможно, питомцу назначат капельное введение препаратов после операции – 800 руб. за один раз. Таких капельниц может понадобиться три. Значит, вся процедура будет стоить 7600 руб. Однако в каждом конкретном случае требуется разный набор ветеринарных услуг. С прейскурантом можно ознакомиться в выбранной клинике на сайте, по телефону или по приезде в учреждение.
Удалить пупочную грыжу можно в ветеринарной клинике. В некоторых учреждениях необходима предварительная запись, в других можно приехать для осмотра в любой момент.
- АКЦИЯ! Профилактика мочекаменной болезни!
 - СЧАСТЛИВЫЕ ЧАСЫ!
 - АКЦИЯ. При вакцинации в нашей клинике чипирование — 1000 (обычная цена 1500)!
 - АКЦИЯ. “Диспансеризация животных комплексная» — скидка 10%!
 - Акция! Бесплатный прием и консультация в день рождения питомца!
 - Специальные условия при прохождении вакцинации!
 - Присоединяйтесь к нам в соц.сетях и получите скидку 50%
 
Главный врач ветеринарной клиники «Игуана» Специализация: абдоминальная хирургия, анестезиология, кардиология, терапия, стоматология, ультразвуковая диагностика Закончила МВА им. Скрябина в 1986 г. по специальности «ветеринария». С 1986 года работала ветеринарным врачом, специализировалась по мелким домашним животным. Стаж работы более 25-ти лет.
Ваш питомец заболел, но вы не знаете, что предпринять. Проконсультируйтесь онлайн
| Наименование услуги | Цена, руб. | 
| Клинический осмотр, постановка диагноза, консультация по уходу и содержанию животных (одно животное) | 600 | 
| Повторный клинический осмотр (одно животное) | 350 | 
| Консультация без животного | 300 | 
| Прием | 600 | 
| Прием главного врача | 800 | 
| Приём кардиолога, невролога, онколога | 1000 | 
| Прием врача герпетолога Повторный прием у герпетолога | 800 400 | 
| Вакцинация (одно животное) с клиническим осмотром и учетом стоимости вакцины (без стоимости оформления ветеринарного паспорта) с использованием вакцин: | |
| Ноби-вак DHPPI + L + R | 1500 | 
| Ноби-вак DHPPI + L (без вакцинации против бешенства) | 1400 | 
| Эурикан DHPPI + LR | 1500 | 
| Эурикан DHPPI + L (без вакцинации против бешенства) | 1400 | 
| Ноби-вак Rabies, Рабизин, Биокан R (против бешенства) | 1000 | 
| Пуревакс RCP (с вакцинацией против бешенства) | 1500 | 
| Квадрикет | 1500 | 
| Леукорифелин, Трикет (без вакцинации против бешенства) | 1400 | 
| Форкет PCH + хламидиоз | 1500 | 
| Поливак | 800 | 
| Вакдерм, Вакдерм-F | 800 | 
| Вакцинация кроликов против ВГБК и миксоматоза | 1200 | 
| Оформление ветеринарного паспорта (включая стоимость бланка паспорта) | 200 | 
| Фиксация животных (одно животное) | 100-500 | 
| Внутримышечное и подкожное введение лекарственных препаратов (одно введение, с учетом стоимости шприца) без учета стоимости препаратов | 100 | 
| Внутривенное введение лекарственных препаратов (без учета стоимости препаратов) | 200 | 
| Одно внутривенное введение лекарственных препаратов при наличии катетера (без учета стоимости препаратов, с учетом стоимости шприца) | 100 | 
| Внутрисуставное и внутрикостное введение лекарственных препаратов (без учета стоимости препаратов) | 300 | 
| Капельное внутривенное введение лекарственных препаратов без учета стоимости препаратов (один час) | 450 | 
| Внутрисуставное и внутрикостное введение лекарственных препаратов (без учета стоимости препаратов) | 300 | 
| Капельное внутривенное введение лекарственных препаратов без учета стоимости препаратов (один час) | 450 | 
| Новокаиновая блокада (одна процедура) без учета стоимости препаратов | 500 | 
| Обрезание когтей (одно животное) | 300 | 
| Обрезание клюва (одна птица) | 300 | 
| Обрезание резцов у грызунов (одно животное) | 300 | 
| Санация параанальных желез (одно животное) | 300 | 
| Лапароцентез – диагностическая манипуляция, удаление жидкости из брюшной полости | от 300 до 1500 | 
| Цистоцентез с удалением жидкости из мочевого пузыря | 400 | 
| Удаление клеща (одна штука) | 150 | 
| Постановка внутривенного катетера (без стоимости катетера): кошка собака | 300 250 | 
| Обработка послеоперационного шва | 150-300 | 
| Удаление внутривенного катетера | 100 | 
| Введение лекарственных препаратов внутрь без учета стоимости препаратов (одно животное) | 100 | 
| Реанимация (без стоимости препаратов) 30 минут | 1500 | 
| Санация наружного слухового прохода Одного/двух | 300 / 500 | 
| Обработка ран и дренажей со стоимостью препаратов | от 150 | 
| Ректальное введение препаратов | 100 | 
| Очистительная клизма (без учета клинического осмотра и анестезии) | от 400 до 2500 | 
| Удаление швов (одно животное) | 300-500 | 
| Наложение бинтовой повязки (со стоимостью бинта) | 70 | 
| Гигиеническая стрижка (без учета стоимости осмотра, наркоза и препаратов) | от 1500 | 
| Гигиеническая стрижка кошек под общей анестезией (с учетом стоимости осмотра, наркоза и препаратов) | от 2500 | 
| Вызов ветеринарного врача общего профиля / врача кардиолога( с снятием ЭКГ) на дом (без учета стоимости осмотра, постановки диагноза, врачебного вмешательства и стоимости препаратов) | 1500 / 3000 | 
| Эутаназия: кошки собаки | 2000 от 2500 | 
| Лабораторные исследования | |
| Люминесцентная диагностика (ЛД-диагностика) | 300 | 
| Ларингоскопия | 300 | 
| Отоскопия | 100 | 
| Наложение бинтовой повязки (со стоимостью бинта) | 70 | 
| Взятие соскобов на паразитологические и микологические исследования методом микроскопии (одно исследование) для направления в лабораторию | 200 | 
| Экспресс-анализ мочи (с учетом стоимости тест-полоски) | 250 | 
| Глюкозометрия (с учетом стоимости тест-полоски) | 100 | 
| Взятие пробы крови из вены | 300 | 
| Цифровая рентгенодиагностика | 1500 | 
| УЗИ-диагностика органов брюшной полости | 1000 | 
| ЭКГ | 1000 | 
| Рентген-диагностика: 1 снимок / 2 снимка | 1500 / 2500 | 
| Анестезия | |
| Местная анестезия (без учета стоимости препаратов) — инфильтрационная — проводниковая — хвостовая | от 200 от 300 от 350 | 
| Общий неингаляционный наркоз для проведения оперативных вмешательств и манипуляций: — при непродолжительных вмешательствах при массе 10 / 30 — 50 / более 50 кг — при продолжительных вмешательствах при массе 10 / 30 — 50 / более 50 кг | 1000 / 2500 2500 / 3500 3500 / 4000 4000 | 
| Заболевания органов слуха | |
| Аспирация гематом / сером | от 500 | 
| Ушивание гематом ушной раковины (без стоимости анестезии) | от 1500 | 
| Дренирование сером / абсцессов (без стоимости анестезии) | от 500 до 1000 | 
| Заболевания органов зрения | |
| Субконъюнктивальная блокада (без учета стоимости препаратов) | 300 | 
| Удаление аденомы третьего века (один глаз) или операция при фолликулярном конъюнктивите: — кошки — собаки | от 1500 от 3000 | 
| Энуклеация глазного яблока: — кошки — собаки | от 3000 от 4000 | 
| Вправление глазного яблока: — кошки — собаки | от 3000 от 4000 | 
| Пластика заворота век | от 4000 | 
| Стоматология | |
| Обработка ротовой полости препаратами (без учета стоимости препаратов) | 200 | 
| Санация ротовой полости у кошек под общей анестезией (с учетом стоимости препаратов) : — кошки — собаки | от 2000 от 3500 | 
| Механическое снятие зубного камня без учета стоимости клинического осмотра и препаратов (за один зуб) | 100 | 
| Удаление зубов без учета стоимости клинического осмотра и препаратов (за один зуб): — молочные — постоянные — клык молочный — клык постоянный | |
| Оперативное удаление папиллом в ротовой полости (без учета стоимости клинического осмотра и наркоза) | от 500 | 
| Заболевания органов мочевыделительной системы | |
| Катетеризация мочевого пузыря (без учета стоимости осмотра и препаратов): — котов — кошек — кобелей — сук | 1200 от 1000 от 800 от 1000 | 
| Уретростомия | от 4000 | 
| Промывание мочевого катетера | от 200 | 
| Общая хирургия | |
| Кастрация / стерилизация животных (с учетом стоимости препаратов): — кот — кошка (по белой линии / через бок) | 
Полезное видео
О переломе передней лапы котенка, установке остеосинтеза и его снятии после заживления смотрите в этом видео:
Похожие статьи
- Вывих у кошки тазобедренного сустава, передней или…
Нередко фиксируют вывих у кошки. Он может быть на передней или задней лапе, тазобедренном суставе, хвосте. … Рекомендуем прочитать о переломе хвоста у кошки. Читать далее -  Кот хромает на лапу (заднюю или переднюю), лапа…
При дисплазии у кошек владелец может наблюдать, что кот хромает на заднюю лапу. … О том, как с помощью остеосинтеза проводят лечение перелома голени у кошки, смотрите в этом видео Читать далее
 -  Перелом таза у кошки: симптомы перелома костей…
Рекомендуем прочитать о переломе хвоста у кошки. Вы узнаете о причинах травмы, признаках и симптомах, диагностике и вариантах лечения. А здесь подробнее о том, что делать, если кот хромает на лапу. Читать далее
 -  Перелом хвоста у кошки и кота: симптомы и лечение
Случиться перелом хвоста у кошки или кота может по разным причинам. Симптомы обычно ярко выражены, поэтому травма не останется незамеченной. … Рекомендуем прочитать о том, почему кот хромает на лапу. Читать далее
 -  Перелом позвоночника у кошки и кота: симптомы…
Причины перелома позвоночника у кошки. Получить тяжелую травму позвоночного столба домашняя любимица может в различных ситуациях … А здесь подробнее о причинах хроматы кота на лапу. Читать далее
 
Что представляет собой услуга?
Многие годы пытаетесь вылечить СУСТАВЫ?
Глава Института лечения суставов: «Вы будете поражены, насколько просто можно вылечить суставы принимая каждый день средство за 147 рублей.
Котята нуждаются в уходе не меньше, чем маленькие дети. По словам ветеринаров в раннем возрасте у слишком активных или породистых кошек чаще других образовываются грыжи. Ещё чаще эта патология бывает наследственной. У взрослых кошек развитие грыж начинается только при определенном образе жизни, то есть приобретенно.
Для лечения суставов наши читатели успешно используют Sustalaif. Видя, такую популярность этого средства мы решили предложить его и вашему вниманию. Подробнее здесь…
Меры профилактики
Конечно, вы не всегда сможете контролировать питомца, чтобы оградить его от попадания под колеса автомобиля или падения из окна. Однако соблюдения элементарных правил безопасности никто не отменяет. Следите, чтобы кошка не лазила на высокие деревья, закрывайте окна и форточки на время своего отсутствия.
После каждой прогулки осматривайте домашнего питомца на предмет получения травм. При подозрении на перелом или вывих незамедлительно обращайтесь в ветеринарную клинику.









